
September 19, 20 and 21, 2024
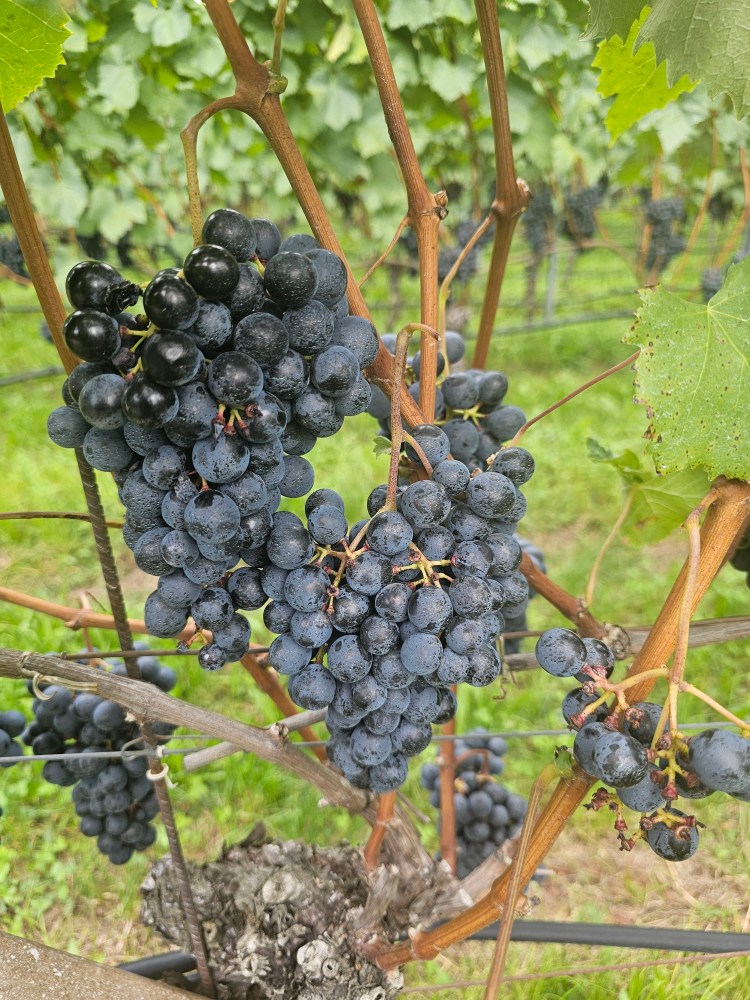
We overslept and rushed to have a quick breakfast before our first biking meeting at 8:30am. After giving us a quick history of the region, our guides Matteo and Tomaso gave us the details of today’s ride. Our group of 20 all left in small groups and biked at their own pace. We were mostly on bike paths and went through vineyards, apple orchards and olive groves. It was harvest time so there was lots of activities. We met at Vineyard Kettmeir, had a few snacks provided by VBT then had a wine tasting at 11am, why not? We continued biking for a little bit then stopped in Caldaro for lunch.
The afternoon ride was mostly flat but was long. When I got off of my bike, back at the hotel a little before 3pm, only my hair didn’t hurt. My knees were hurting a lot at some point during the ride and I realized that my seat had slowly gone down so my legs were not extended anymore. Duh…
Today’s ride was 30.5 miles.
We took a small nap then went for a drink at the bar before taking a taxi to Castle Haselburg for dinner on our own. We all pick tastings of different dishes with a pairing of wines. It was delicious.
We got up early for breakfast, put our luggage outside our doors and started our morning bike ride from the hotel. We followed the river for awhile, had lunch midway in Dinaro then a bus pick us up to bring us to our next destination Hotel Chalet del Sogno in Madonna di Campiglio. Much higher in the mountains, it was a lot chillier to ride but we all had enough layers.
Today’s ride was 22.5 miles, mostly downhill.
We met at 6:30pm for drinks and dinner at the hotel. It was a 4 course meal which again was really good.
Day 5 of our trip started with breakfast at the hotel (all breakfasts are included on the tour) then after the morning meeting, we took a 25 minutes shuttle bus to Carisolo where we starting biking. It was the most gorgeous ride on mostly bike paths but through a few pretty towns as well. We stopped at a farm for our morning snacks, then did a tour to see the cows, the pigs, the dogs, the cats, E I E I O! then tried their cheeses.
We biked a gradual uphill for miles and miles (at least that’s how it felt to me!!) to a gorgeous waterfall. We stopped for a quick refreshment and a little droning then biked back to our bus.
Today’s bike ride was 20.5 miles.
We got back at the hotel around 2:30pm and took the gondola to the top of the mountain and what a spectacular view despite the clouds. We were lucky to be able to take the gondola as it was its last day running until the snow. The town is kind of a ghost town right now.
We had dinner at the hotel and our guides sat with us again so we had great conversations with good food and wine.
As we were leaving the restaurant, Pogo, Derrick, Deidre and I had a loud and somewhat raunchy group hug in front of the elevator just as the doors opened with one of the very surprised bartender. Pogo said, it’s ok we are family and Deidre said, it’s all good, we are Mormons! HaHaHa!














































great pictures. And that bearded guide is kinda hot.
LikeLike
Matteo is his name
LikeLike
Loving your posts! Lovelove,love Pogos video to Max!! You guys are having a wonderful time. So glad for you! Llve, Mom
LikeLike
Thanks Mom!
LikeLike